VITERBO – Da lunedì 3 giugno modifiche alla viabilità a ridosso della rotatoria prospiciente il cimitero: a informare la cittadinanza è il comune stesso che spiega anche il perché di questa modifica che andrà a impattare sul traffico cittadino.
La rotonda, per un periodo che viene definito “sperimentale”, verosimilmente di un mese, non sarà più utilizzata come rotatoria. Tale modifica consentirà a Tps Pro, la ditta incaricata dal Comune di Viterbo di redigere il Piano urbano della mobilità sostenibile, di posizionare dei sensori e valutare l’impatto che tali modifiche avranno sul traffico.
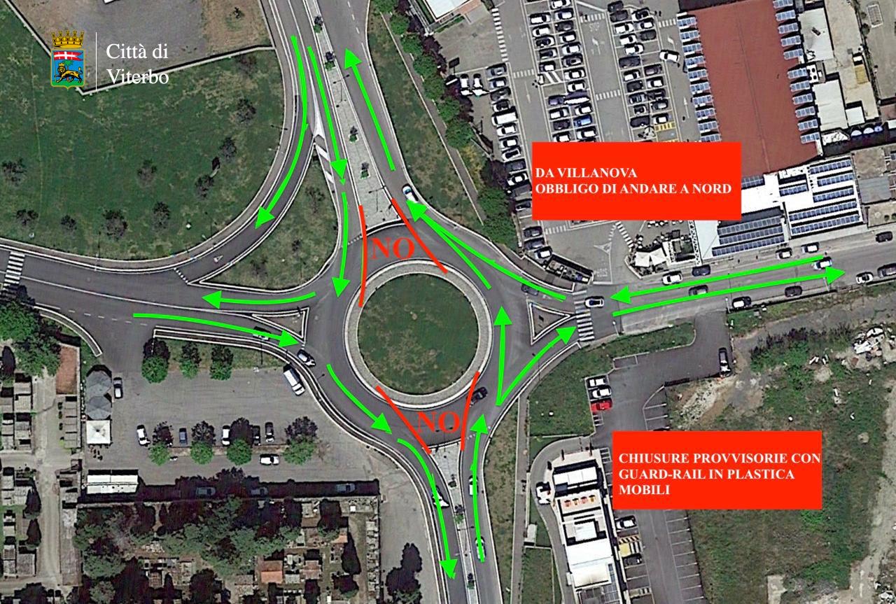
La viabilità intorno alla suddetta rotonda rientra tra le situazioni maggiormente attenzionate dall’amministrazione per la questione traffico. Per questo motivo si testerà una soluzione alternativa rispetto all’attuale. L’interdizione parziale della rotonda verrà segnalata attraverso apposite transenne. In termini pratici, chi proviene da Villanova e si immette sulla rotonda dovrà svoltare obbligatoriamente verso nord, ovvero in direzione Cassia-Montefiascone. Chi proviene dalla Cassia-Montefiascone, alla rotatoria potrà girare verso destra o proseguire dritto e non potrà dirigersi verso Villanova. Per raggiungere Villanova dovrà pertanto proseguire per poi rientrare.
Non è escluso che la sperimentazione, obbligatoriamente effettuata sulla pelle dei cittadini, potrebbe in un futuro portare a una delle soluzioni che più circolano tra le mura di Palazzo dei Priori: rendere la Cassa Nord e via Igino Garbini due sensi unici (una in entrata e una in uscita) per mitigare il traffico del quadrante nord di Viterbo.

