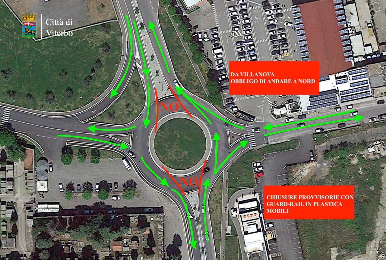
VITERBO – Viabilità alternativa, il comune comincia a sperimentare il Piano urbano di mobilità sostenibile (Pums) ed annuncia modifiche al traffico veicolare alla rotatoria davanti al cimitero, con interdizione parziale della rotonda, per intervenire in una della zone più congestionate della città. Una sperimentazione che non piace alla consigliera Laura Allegrini (FdI) che è intervenuta in merito:
“Nonostante sia apprezzabile l’idea di trovare una soluzione al problema del traffico alla rotonda del Cimitero, la soluzione che si profila con la sperimentazione individuata dal Comune sembra aggravare il problema e non risolverlo. La mancata svolta a sinistra in ingresso verso Villanova penalizzerà le attività commerciali presenti e costringerà i residenti ad arrivare fino a Via della Palazzina per raggiungere casa. Da tanto tempo si parla di canalizzare il traffico del quadrante Nord della città in ingresso sulla Cassia ed in uscita su Via Garbini, Via dell’ Industria e il suo prolungamento dal Poggino fino alla zona ex “oasi” che è previsto nel PNRR.
Attualmente queste condizioni non ci sono perché non c’è’ Il prolungamento e quindi questa soluzione “ibrida” peggiorerà la viabilità. La soluzione prospettata riverserà tutto il traffico nella rotonda successiva ( Ipercoop) con problemi ancora più gravi nel caso si pensi di poter utilizzare Via Tuscia per canalizzare tutto il traffico in ingresso a Villanova. Chiediamo quindi di rivalutare questa ipotesi e di convocare subito la terza commissione per ragguagliarci nel dettaglio sui risultati forniti dai tecnici incaricati del PUMS ( Piano Urbano della Mobilità’ Sostenibile) già’ in possesso dell’ Assessore”.

